|    
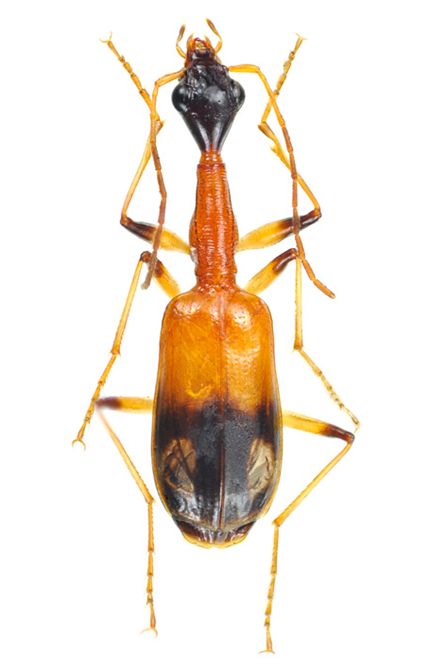
和  名  フタモンクビナガゴミムシ
学  名  Archicollius bimaculata nipponica Habu, 1963

採集地 栃木県小山市 2003/2/24

分      布 本州, 四国, 九州
生態情報 河原 (青野 1987, 青野 1988), オギ原 (青野 1987), 平野部 (山口県立山口博物館 1988), 山間部 (山口県立山口博物館 1988), 河川敷 (笠原・西山 1990), 湿地 (笠原・西山 1990), 河川敷のアシ原 (高桑ら 2006), 成虫 (須田 1980), ウンカ (土生 1958c), ライトトラップにより捕獲 (青野 1988, 八尋 1997), 崖越冬 (青野 1988), 灯火にも来る (笠原・西山 1990)
タイプ情報 雄 (Habu 1963c), 美笹, 戸田, 埼玉県 (Habu 1963c), 農業環境技術研究所昆虫同定分類研究室 (Habu 1963c)
備      考 Archicollius bimaculata nipponica Habu, Odacantha bimaculata Redtenbacher, Ophionea nigrofasciata Schmidt-Goebel, Colliuris (Archicolliuris) bimaculata Redtenbacher, Archicolliuris bimaculata Redtenbacher, Archicolliuris bimaculata bimaculata Redtenbacher (Habu 1967b)